Lot G Gower Point Road Gibsons, British Columbia V0N 1V0
$999,000
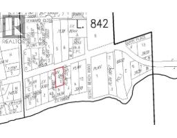
Are you searching for that perfect Lot for your Custom Home build? The lot with just the right blend of View, Trees, Location & Privacy. If so you will want to look at Lot G on the ocean side of Gower Point Road, just 4 doors West from the SCRD Secret Beach Park & Trail to the Ocean, and walking distance to Lower Gibsons. This Lot offers the ultimate in lifestyle starting with the views, where you are actually close enough to the ocean to see the ripples on the water birds coming & going along with the aquatic mammals. For contrast with the Ocean the view looks right at Popham Island. This gently sloping ½ acre lot has approximately 100´ of frontage & is 220´ deep. It is truly a one of a kind property, & is too good for a "Spec Home". If you have a dream home plan that suits a rancher or a level access home with a walk-out basement, you will want to check this out. The owner will build to suit! (id:12562)
Property Details
| MLS® Number | R3070922 |
| Property Type | Vacant Land |
| Amenities Near By | Marina, Recreation, Shopping |
| Features | Private Setting |
| View Type | View |
Building
Land
| Acreage | No |
| Land Amenities | Marina, Recreation, Shopping |
| Size Frontage | 100 Ft |
| Size Irregular | 0.51 |
| Size Total | 0.51 Ac |
| Size Total Text | 0.51 Ac |
https://www.realtor.ca/real-estate/29147370/lot-g-gower-point-road-gibsons
Contact Us
Contact us for more information

Jon Mcrae
Personal Real Estate Corporation, Coast Lifestyles Network
www.jonmcrae.ca/
#101 - 938 Sunshine Coast Hwy
Gibsons, British Columbia V0N 1V7
(604) 886-2670
(604) 439-2299

Russ Qureshi
Personal Real Estate Corporation, Coast Lifestyles Network
www.coastlifestyles.ca/
#101 - 938 Sunshine Coast Hwy
Gibsons, British Columbia V0N 1V7
(604) 886-2670
(604) 439-2299























