231 Lawrence Street New Westminster, British Columbia V3M 5K9
$1,299,900
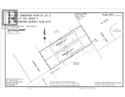
BETTER THAN A DUPLEX !! Attn: Builders / Developers, 8,334 sqft lot located in the heart of Queenbrough and just steps away from Queensborough Community Centre and Park. 2 road frontages Lawrence and Ota St. Property is cleared, zoned and has conditional approval for 2 lot subdivision, planning and engineering completed and approved by City of New Westminster. Child care/Pre school facility maybe be an alternative land use, Check with City of New Westminster Call or email Bryce today for more information (id:12562)
Property Details
| MLS® Number | R3089027 |
| Property Type | Vacant Land |
| Amenities Near By | Golf Course, Shopping |
| Features | Central Location |
Building
Land
| Acreage | No |
| Land Amenities | Golf Course, Shopping |
| Size Frontage | 59 Ft |
| Size Irregular | 8334 |
| Size Total | 8334 Sqft |
| Size Total Text | 8334 Sqft |
https://www.realtor.ca/real-estate/29350972/231-lawrence-street-new-westminster
Contact Us
Contact us for more information
Bryce Ayers
Homelife Benchmark Realty (Langley) Corp.
116 - 4061 200 Street
Langley, British Columbia V3A 1K8
116 - 4061 200 Street
Langley, British Columbia V3A 1K8
(604) 530-4141
www.homelifelangley.com/



























































